2022/08/29
猿も途中参戦!ブドウの収穫祭


お盆明けの8月19日、早朝よりスタッフ総出で、待ちに待ったブドウの収穫を行いました。
富有柿の産地で知られる大野町で、高齢化が進み休耕地となっていた柿畑を有効利用し、地域のシニア世代の生きがいの場を作る目的で2012年に始まったPROJECT ORI WINE。現在は11の畑にブドウが植えられ、化学的な肥料 農薬を使わない BIOワイン用のブドウを栽培しています。
今年は7月から雨が多く、お盆中も不安定な天気が続いていましたが、収穫当日はなんとか天気が回復。
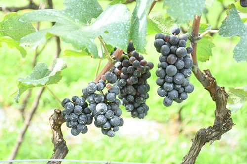
長雨の影響で病気にかかり萎んでしまった実もありましたが、ピノ・ノワールは過去最高の収量245kgを記録。シャルドネ235kgと合わせて480kgを収穫することが出来ました。
今年は収穫の最中に猿の一家がブドウ園に現れ、一緒に実を収穫する状況に。
子猿がキューキュー鳴きながら少し離れた林の中で遊ぶ傍ら、父兄らが木の上から美味しそうな実はないかとブドウ園の様子を伺っていました。
2019年に収穫したピノ・ノワールで初めての赤ワインが完成し、2020年にシャルドネで白ワインが、2021年にはピノ・ノワールとシャルドネでロゼワインが完成しました。
今年のブドウはどんなワインになるのでしょうか。ワインの完成が今から楽しみです。

作業前に今日の工程を打ち合わせ

3人1組で株ごとに記録を取りながら収穫





収穫に途中参加のお猿さん


ORI Wine Project記事
-
2026/04/01
ORI Vineyardでは、里山再生プロジェクトの一環として、ギフチョウの棲みやすい環境づくりに取り組んでいます。 春らしい陽気が続くようになった3月25日...
-
2026/02/17
ギフチョウ サンクチュアリへの第一歩〜ヒメカンアオイの開花〜
15,000坪にも及ぶORI Vineyardでは、「今の大人たちがかつて子供だった頃に見た里山の景色を、未来の子供たちも見てもらいたい」という思いをきっかけに...
-
2025/09/03
お盆休み直前の8月8日、ORI Vineyardでは年に1度のブドウの収穫日。 今年は、梅雨時期の長雨の影響で病気が広がり、収穫も危ぶまれる大変なシーズンでし...
-
2025/08/22
7月14日、今年も大野町立北小学校6年生の子どもたちが、課外授業で大里研究所(ORI)のブドウ園を訪れました。大里研究所では、高齢化により継続困難となった柿畑...
-
2025/05/28
ブドウの花も満開のブドウ園。花々や、柔らかい若葉の美味しそうな香りに誘われてか、ブドウ園に隣接する里山に、食いしん坊なお客さんがやってきました。 ツノが落ちて...





